Description
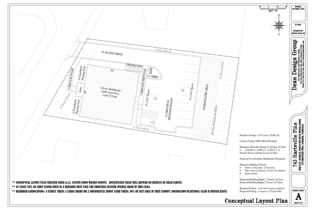
Investor Special! This parcel is already conditionally approved by city staff, significantly reducing entitlement risk and development timelines. Under the new zoning, the site allows for up to 15 residential units, presenting a strong opportunity to maximize density and value. Conceptual development drawings have been prepared and submitted to city staff for review, with one 8 unit approved conceptual drawing available in the media section. This property is well-suited for multifamily, mixed-use, or long-term rental development, offering excellent potential for appreciation, cash flow, and future resale in a growing market. A rare opportunity for investors or developers seeking scale, with much of the preliminary work already completed.
-
0BEDS
-
0.48ACRES
-
0BATHS
-
01/2 BATHS
School Information
Description
Investor Special! This parcel is already conditionally approved by city staff, significantly reducing entitlement risk and development timelines. Under the new zoning, the site allows for up to 15 residential units, presenting a strong opportunity to maximize density and value. Conceptual development drawings have been prepared and submitted to city staff for review, with one 8 unit approved conceptual drawing available in the media section. This property is well-suited for multifamily, mixed-use, or long-term rental development, offering excellent potential for appreciation, cash flow, and future resale in a growing market. A rare opportunity for investors or developers seeking scale, with much of the preliminary work already completed.
Properties marked with the IDX logo are provided courtesy of the RealTracs Internet Data Exchange Program. Some or all of the listings may not belong to the firm whose website is being visited (The Miles Team | Compass Tennesee, LLC, 615-375-3575). IDX information © 2026 MTRMLS, Inc. Information is believed to be accurate but not guaranteed by the MLS or The Miles Team | Compass Tennesee, LLC. IDX information is provided exclusively for consumers' personal, non-commercial use and may not be used for any purpose other than to identify prospective properties consumers may be interested in purchasing. Data last updated 2026-03-16T17:09:21.74.
Based on information submitted to the MLS GRID as of 2026-03-16T17:09:21.74. All data is obtained from various sources and may not have been verified by broker or MLS GRID. Supplied Open House Information is subject to change without notice. All information should be independently reviewed and verified for accuracy. Properties may or may not be listed by the office/agent presenting the information.
Click here for MLS GRID DMCA Notice

Offered by Benchmark Realty, LLC: .
Copyright 2026 RealTracs, Inc. Information Is Believed To Be Accurate But Not Guaranteed. Listings courtesy of Realtracs MLS as distributed by MLS GRID.