Description
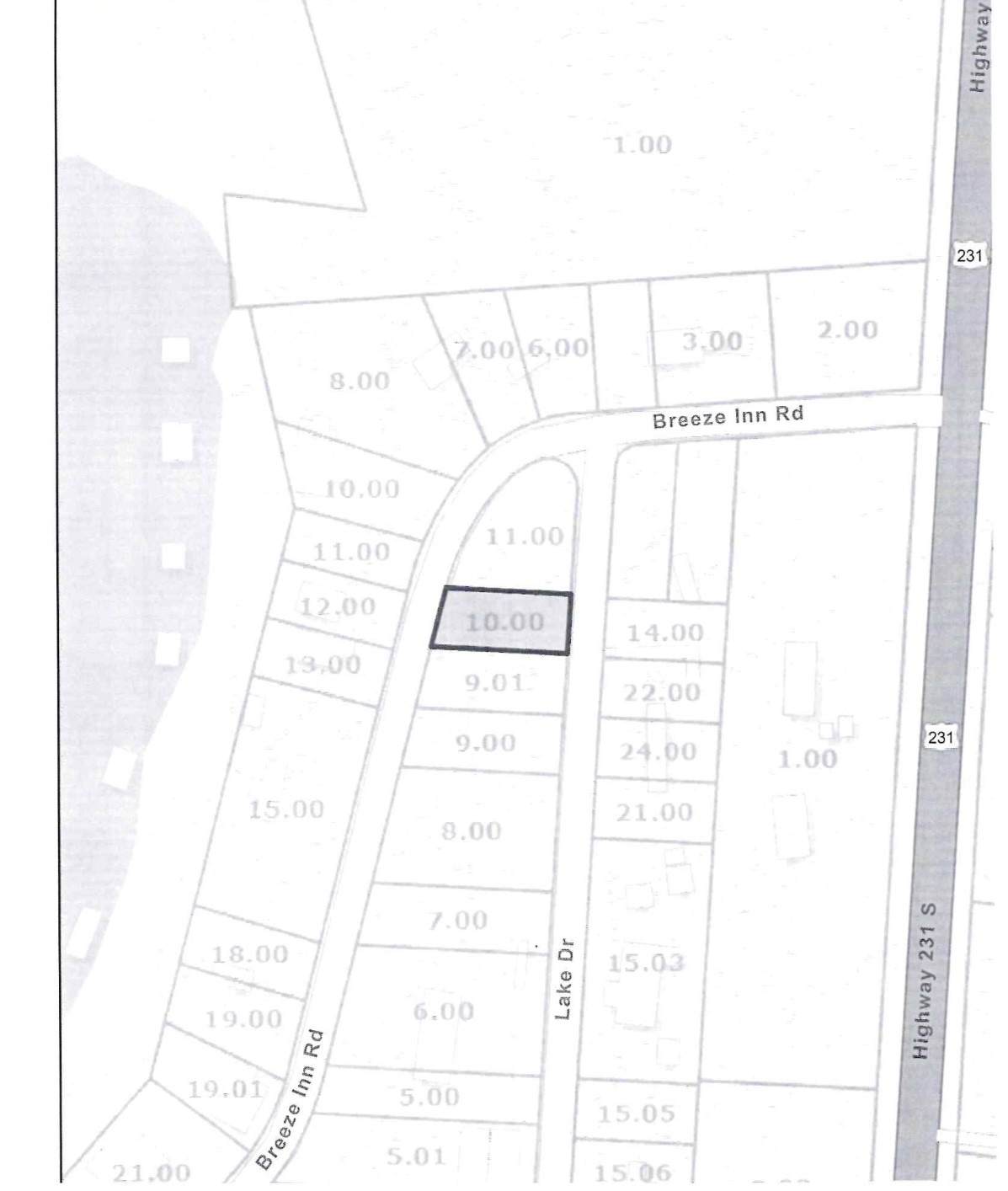
Lot in small waterfront community between Lebanon and Gallatin areas, conveniently located only 45 minutes from BNA and less than an hour from downtown Nashville. Property includes lake access easement across street. Perfect for a getaway or to build a short term rental gem!
-
0BEDS
-
0.14ACRES
-
0BATHS
-
01/2 BATHS
School Information
Description
Lot in small waterfront community between Lebanon and Gallatin areas, conveniently located only 45 minutes from BNA and less than an hour from downtown Nashville. Property includes lake access easement across street. Perfect for a getaway or to build a short term rental gem!
Properties marked with the IDX logo are provided courtesy of the RealTracs Internet Data Exchange Program. Some or all of the listings may not belong to the firm whose website is being visited (The Miles Team | Compass Tennesee, LLC, 615-375-3575). IDX information © 2025 MTRMLS, Inc. Information is believed to be accurate but not guaranteed by the MLS or The Miles Team | Compass Tennesee, LLC. IDX information is provided exclusively for consumers' personal, non-commercial use and may not be used for any purpose other than to identify prospective properties consumers may be interested in purchasing. Data last updated 2025-11-09T19:08:56.157.
Based on information submitted to the MLS GRID as of 2025-11-09T19:08:56.157. All data is obtained from various sources and may not have been verified by broker or MLS GRID. Supplied Open House Information is subject to change without notice. All information should be independently reviewed and verified for accuracy. Properties may or may not be listed by the office/agent presenting the information.
Click here for MLS GRID DMCA Notice

Offered by Zach Taylor Real Estate: .
Copyright 2025 RealTracs, Inc. Information Is Believed To Be Accurate But Not Guaranteed. Listings courtesy of Realtracs MLS as distributed by MLS GRID.